首页 > 矶钓
不管在哪个城市,海钓都是高成本的,金钱成本以及时间成本都很高,这决定了海钓历来都只能是一个小众圈子,所谓的欧美四大贵族运动之一,虚名在外,费时费金却是真真实实的。过高的门槛限制了无数的钓鱼爱好者,让很多新手钓友或有意入坑的朋友望而却步,而作为圈子,如果没有足够多的新人参与进来,海钓人群是很难发展壮大的。
珠海是百岛之市,拥有海岛147个,海岛面积约三百多平方公里,海岛的海岸线长达六百公里,是国内的海钓旺地。矶钓作为海钓的一种形式,在国内发展二十多年来,珠海钓场培育出大量的矶钓好手,其中不乏赫赫有名的拿奖无数的顶尖竞技钓手。
由于近二十年来珠海几个著名的矶钓大赛的影响,以及珠江口海域矶钓的梦幻之鱼大白鱲、黄衣、黄腊鲳、巨石斑的名声远扬,让国内矶钓圈认识了万山群岛、佳蓬列岛、担竿列岛等这些"大场""赛场",但很多人却不知道珠海矶钓的"摇篮"钓场-九洲列岛、高栏列岛、银坑诸岛等。
与外礁钓场动辄大几百上千甚至几千块的高消费不同,珠海的九洲列岛是门槛超低的海钓入门级钓场,这里出艇的人均费用只需七八十元,诱饵也不需多,两砖两粉足够玩大半天,市区开砖粉价格也很美丽,两砖两粉也只需八十元左右。快艇费加诱饵费再加上购买一些钓饵,总共也不超过两百元,可能比不少淡水钓的黑坑消费还要低。如果是不打诱饵,用活虾或虫饵作钓,还能更省,只需百来块!
如此低消费,皆因九洲岛离市区很近,最近的一个小岛离珠海情侣路只有数百米,从情侣路上船,几分钟即可登上礁石!如此钓场,不需要长途跋涉赶路赶时间;不需要兴师动众约满一艇的人分摊艇费,只需有两三个人船家也会接送,按人头收费;在这里钓鱼不耽误事,遇到急事十几分钟便可以撤离回到市区;在九洲岛海域,出艇费用低之余,转位一般不需要额外收取转位费,这是很多钓场无法比拟的。
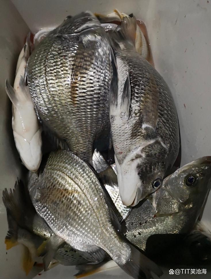
最关键的是,九洲岛的钓场大、钓位多,顾名思义,九洲岛由九洲本岛、横档洲、龙眼洲、鸡笼洲等九个岛屿组成,有大量的钓位可供选择,即便是假日人多也不需要和人抢钓位或挤着钓,而且这里生态很好,鱼种繁多,有沙鱲(黑鲷)、黄脚鱲(黄鳍鲷)、牛屎鱲(南洋黑鲷)、鲈鱼、马友(四指马鲅)、花惑(春子、叫咕鱼)、石斑等不错的矶钓鱼种,而且钓场结构简单,钓法也简单,容易上手,即便是新手钓友,钓几条鱼也并非难事。
九洲岛的近距离、高便利、低消费、钓位多、好生态,这个海矶钓优势是放眼全国海岸线都是独一无二的,也正是由于这几点好处,而深受新手钓友们的喜爱。珠海的很多高手,刚入坑时都是在九洲岛练出来的,因此说它是珠海的海矶钓摇蓝一点都不为过。
所以,如果你在珠三角初玩海钓,如果你没有充裕的时间,如果你认识的圈内钓友还不多,如果你的钓鱼预算不太宽裕,又或者你在外礁经常打龟……,不妨试试九洲岛。
由于靠近珠江口及市区,无数年的泥沙淤积,导致九洲大部分岛礁外围都是沙泥海床,鲜少有大丛暗礁,加之大多数时候水色以黄绿色为主,所以有鱼的话一般都会在礁边觅食,因而钓法简单,钓一竿远以内,甚至钓脚边即可,不需要远投或放流等复杂操作。
九洲岛的钓位,浅的有一米多,深的有六七米水深,毕竟由大大小小九个岛组成,所以钓位是挺多的,知名钓位有九洲本岛的豆腐磨、一石、二石、亭仔脚、蠄蜞石,横档洲的金字塔、东面咀头、平石、细排,龙眼洲东面独石等等。
九洲岛海域涨退潮时流水很通畅,大潮天时流水会比较快,而此处鱼群多为"坨地鱼",非流水鱼,所以一般选背流缓流处作钓。由于沙泥海床结构,导致此处海水在大风浪或大潮天容易水色变浑浊,在这种情况下需要找比较清水区域的钓位,切莫在浊水区死守。
九洲岛的矶钓季节比较长,几乎全年可钓,除了五六七月份雨季因珠江口水淡钓况差点外,其他月份都是挺不错的,最好的应该是九月十月十一月吧,每年的这段时间都会有不少过斤的大黄脚鱲(黄鳍鲷)洄游回来九洲海域,此外回来的还有大量的中小个头的沙鱲(黑鲷)。
需要注意的是,九洲岛也是有小杂鱼消饵的,尤其在秋天及初冬水温较高的季节,此海域会有不少的鸡泡(河豚)和风鱲仔,以及一种不知名的半透明小鱼,如果是打粉作钓的话,更是成群结队难于避开,所以去九洲岛矶钓一般最好带上两三种钓饵,没有小鱼捣乱时用南极虾,小鱼闹窝时用面饵或虾仁均可。
值得一提的是,"沧海竞技"面饵在这片海域很好用,这种面饵含有大量的虾蟹肉酱,诱鱼效果好,开口很快,状态柔软而粘韧,能抗小杂鱼化饵,当大鱼咬饵时不顶口,是小鱼群搜钓目标鱼的上佳钓饵。
当然,不打粉作钓的话,也可以用青虫、红虫、活虾等活饵,能钓黑鲷和花惑(叫咕鱼、春子),运气好的话也能钓到鲈鱼、石斑。只是今时今日的海里生态大不如前,不打粉等鱼来的钓法已经较难有好的收获了,不过钓无定法,不同的玩法有不同的乐趣,用活饵作钓往往也可能会遇上一些大物的。
九洲的鱼普遍个头比较小一些,一斤上下为主,偶尔也能碰上三四斤的牛屎鱲,或许缺少了一些惊喜,但却是难得的入门钓场,即便是对资深钓手来说也是有吸引力的,是个不错的练手的地方。
--笑沧海(2022)
【本文作者是国内竞技矶钓知名钓手"笑沧海",为珠海神州海钓文化传播、《海钓大师》钓场大数据APP、战神钓具、TIT竞技会创办人,中国休闲垂钓协会矶钓分会副会长,矶钓二十来年,在各大矶钓赛事中获得大量奖项,曾获:
大白鱲杯冠军亚军季军;
万山论钓冠军亚军季军殿军;
丰盟汇杯全国海钓年赛冠军季军;
澳门渔乐网矶钓邀请赛冠军;
澳门回归杯亚军、季军;
香矶杯全国矶钓大赛冠军、季军;
福建霞浦全国海钓大赛冠军、亚军;
浙江大陈岛全国矶钓大赛单尾冠军;
珠海春矶赛冠军;
广东兄弟杯冠军;
东澳渔乐杯矶钓赛冠军;
万山海钓邀请赛冠军;
东澳慈善矶钓邀请赛亚军;
外伶仃矶钓邀请赛冠军;
珠海"钓鱼人"矶钓年赛冠军;
广州群鹰矶钓慈善赛综合鱼冠军
澳仕玛"矶钓王"全国大赛季军;
台山海豚杯矶钓总结赛季军;
……】
- 上一篇: 春季如何钓海鲈鱼?哪种鱼饵效果好?春季钓海鲈鱼的4个要点
- 下一篇: 花莲海钓游记
猜你喜欢
- 2023-04-25 【钓鱼】浮游矶钓海钓必学的钓组配重技巧,轻松钓大鱼!
- 2023-04-25 高手在民间!矶钓绑串钩的小技巧
- 2023-04-25 海钓四种钓法,看了之后终于明白“钓鱼穷三代”的真正含义!
- 2023-04-25 矶钓、中通、前打,三种鱼竿都带轮,到底该选哪一种?
- 2023-04-25 什么是矶钓?矶钓钓场选择与安全措施
- 2023-04-25 浮游矶钓的实战技巧,老钓友爆护的原因所在!
- 2023-04-25 台钓玩腻了玩矶钓,前期准备工作要掌握,先从钓组组合开始
- 2023-04-25 矶钓竿之“外走线矶钓竿、中通矶钓竿”,购买前你要知道的一些事
- 2023-04-25 大水域中有大鱼,只有矶钓能降服 矶钓钓大鱼的技巧,与您分享
- 2023-04-25 海边矶钓不是梦,一杆手竿就能钓,学会了可去海边一试


















